Một trong những cơn bão mạnh nhất thế giới với đã đổ bộ vào Philippines sớm ngày 8/11.
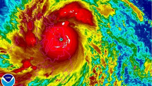
Siêu bão Yalonda có tên quốc tế là Haiyan đã đổ bộ vào đảo trung tâm Samar, cách khoảng 600 km về phía đông nam thủ đô Manila vào lúc 4 giờ 40 phút sáng nay giờ địa phương (3 giờ 40 phút sáng nay theo giờ Hà Nội) và đang di chuyển nhanh chóng về phía tây bắc, nhà khí tượng học Romeo Cajulis nói với hãng thông tấn AFP.
![]() |
| Một biển quảng cáo gần Manila bị gió bão thổi rách tơi tả trước khi nó đổ bộ vào đất liền hôm 7/11. |
Tổng thống Benigno Aquino hôm 7.11 tuyên bố ông sẽ làm tất cả những gì có thể để đối phó với siêu bão Haiyan với sức gió ở tâm bão lên tới gần 380 km (235 dặm) một giờ.
Hơn 125.000 tại các khu vực bị ảnh hưởng bởi siêu bão đã được di tản trước ngày 8/11.
Trong khi đó, nhà khí tượng học người Mỹ nổi tiếng, Tiến sĩ Jeff Masters, đã viết trên trang www.wunderground.com rằng Haiyan là một trong những cơn bão mạnh nhất từng được ghi nhận trên thế giới, đồng thời cảnh báo về thiệt hại thảm khốc do nó gây ra.
Sức mạnh của gió bão Haiyan khi đổ bộ vào Philippines dự kiến sẽ vượt qua cả siêu bão kỷ lục Camille có tốc độ gió 305 km mỗi giờ đổ bộ vào nước Mỹ năm 1969.
![]() |
Do bão di chuyển rất nhanh nên có thể gây ra lũ lụt lớn trong thời gian ngắn làm thương vong nhiều.
"Những thiệt hại do cơn bão này gây ra có thể là khốc liệt nhất trong lịch sử Philippines," ông nói thêm.
Nhiều vùng ven biển Philippines đã xuất hiện sóng cao 6 mét. Tại thành phố ven biển của Tacloban, một trong những nơi đầu tiên bị ảnh hưởng bởi bão, nhiều đường phố đã bị ngập, một số tòa nhà đã bị phá hủy, đài truyền hình ABS CBN cho biết hôm 8/11.
Tại thủ đô Manila, dù không bị ảnh hưởng trực tiếp bởi bão nhưng dự kiến sẽ vẫn chịu một số tác động của nó. Các nhà chức trách đã cho đóng cửa các trường học hôm nay.
- Hồng Lỗi kêu gọi báo Mỹ khách quan, lờ đi Thời báo Hoàn Cầu hiếu chiến
- Video: Dâm quan Trung Quốc đưa kế toán đi nhà nghỉ, tiêu "tiền chùa"
- Philippines thay đổi chiến thuật đối đầu ngoại giao với TQ ở Biển Đông
- Đại tá Trung Quốc: "J-16 sẽ là sát thủ nòng cốt tác chiến ở Biển Đông"
- Báo Mỹ: Tổng thống Putin thăm Việt Nam bàn về nhà máy ĐHN Ninh Thuận 1
- Tập Cận Bình "chỉnh phong" QĐ: Loại hết thư ký riêng của các chỉ huy
- Mỹ sẽ rót tiền xây cảng Oyster để giám sát Trung Quốc ở Trường Sa
- Chỉ huy quân đội Iran thiệt mạng khi tử thủ nhà thờ Hồi giáo ở Syria
- 3 ngày người Kurd đánh bật phiến quân Syria khỏi 19 thị trấn, làng mạc
- Video: Giao tranh giành giật từng ngôi nhà đổ nát ở Aleppo, Syria
Nguyễn Hường

